藝點新聞Chloe編輯整理
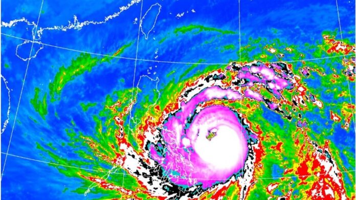
鳳凰颱風今天白天強度將達到巔峰,有機會成為強烈颱風,氣象專家吳聖宇說,實在是很萬幸台灣並不是承受最強第一擊的地方,菲律賓又將成為最大苦主。未來的路徑演變仍然跟先前的看法相同,大甩尾轉彎後往台灣過來,預報的趨勢一直沒有明顯變化,不過還是有些微調。

(圖/天氣職人-吳聖宇FB)
主要是進入南海後繞出去的距離稍微變遠了一點,因此颱風中心以及本體環流要經過台灣上空的時間比先前預估的要來得晚,原本預估是下週三(12日)白天要經過台灣上空,現在變成要等到12日晚間才要進來,下週四(13日)白天這段期間仍在過境台灣,遠離台灣的時間也因此要延後到週四(13日)的晚間之後,整個時程往後延了大約12小時左右。
登陸點的位置仍是目前最大的不確定性,中部以南的任一個點都有機會,在哪邊登陸,如何通過台灣上空會關係到下週三、週四(12-13日)這兩天各地的風雨變化情況,仍需要再觀察,很有可能要等到下週一(10日)颱風進入南海並且真正開始往北之後才會比較明朗。
鳳凰颱風北上靠近台灣的過程因為大氣條件的不適合,預期強度會持續減弱,等到暴風圈真正接觸到台灣陸地時應該已經是輕度颱風等級,經過台灣上空的過程應該也會持續減弱,等到過山進入東部、東北部海面有機會減弱為熱帶性低氣壓或轉化為溫帶氣旋。
今天下午起台灣附近的東北季風會先增強,然後明晚鳳凰颱風的水氣會開始抵達台灣附近,下週一、週二(10-11日)颱風在台灣西南方海面逐漸北上,位置上來說非常適合共伴效應的發生,北部、東北部、東部要特別注意是否出現強降雨的現象,這一點可以先提醒迎風面地區的朋友務必注意防範。
延伸閱讀
新聞來源:藝點新聞





